Vendu
VENDU! Maison 3 façades à rénover sur +/- 4a 24ca à Sombreffe
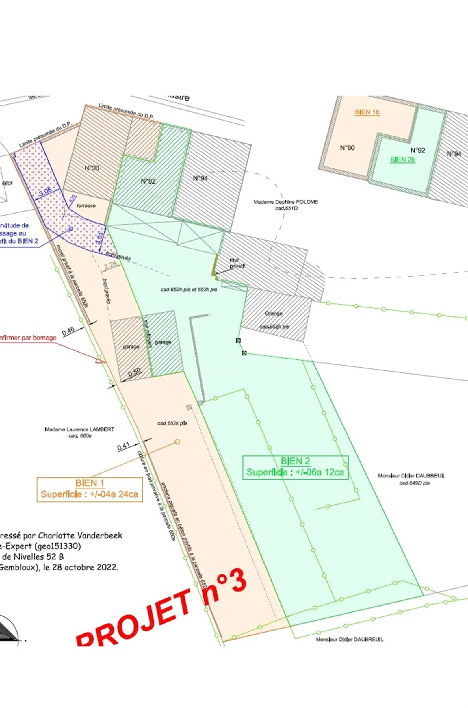
Impasse Chaussée de Chastre - 5140 SOMBREFFE
Voir sur carteRevenu cadastral : 508 €
VENDU! SOMBREFFE-Impasse Chaussée de Chastres 90: Dans une rue en cul-de-sac, maison 3 façades à rénover sur +/- 4a 24ca comprenant: Rez: hall, wc séparé, living avec cheminée, cuisine équipée, chaufferie. 1er: 3 chambres, salle de bain et salle de douche. 2èeme: chambre mansardée. Commodités: Garage 1 voiture, châssis DV en bois, CC mazout, toiture en ardoise artificielles. !! ATTENTION, servitude de passage à pied et en voiture pour la maison voisine. PEB G - 534 kwh/m²/an - CU: 20220525009244. Prix: 160.000 € (sous réserve d\'acceptation des propriétaires)
Caractéristiques
Maison 3 façades sur terrain de 04a 24ca
Chauffage central au mazout
Châssis DV en bois
Garage 1 voiture
Servitude de passage à pied et en voiture
Rez-de-chaussée
Hall d\'entrée 2,0m x 1,8m = 3,6m²
Salle à manger 3,5m x 2,9m = 10,2m²
Salon 4,4m x 4,2m = 18,5m²
Cuisine équipée 3,6m x 2,7m = 9,7m²
Garage 4,5m x 2,9m = 13m²
Étage 1
Salle de bains 1,9m x 1,9m = 3,6m²
Salle de douche 2,0m x 1,0m = 2,0m²
Chambre à coucher 3,5m x 2,9m = 10,2m²
Chambre à coucher 4,4m x 3,0m = 13,2m²
Chambre à coucher 3,6m x 2,9m = 10,4m²
Étage 2
Chambre à coucher 3,7m x 3,1m = 11,5m²
- Chambre(s) 4
- Salle(s) de bains 2
- WC(s) 4
- Grenier Non
- Chauffage C.C. au mazout
- Cuisine Armoires et appareils
- Vitrage Double
- Avec bureau Non
- Ascenseur Non
- Surface habitable 93 m²
- Surface du living 29 m²
- Code unique 20220525009244
- Energie spécifique (kWh/m²/an) 534
- Energie totale (kWh/an) 75854
- Type de chauffage C.C. au mazout
A
B
C
D
E
F
G G
