Vendu
Terrain de 23.35 m de façade sur une superficie de 7 ares 90 Ca à Wangenies
Rue du Bosquet - 6220 WANGENIES
Voir sur carte
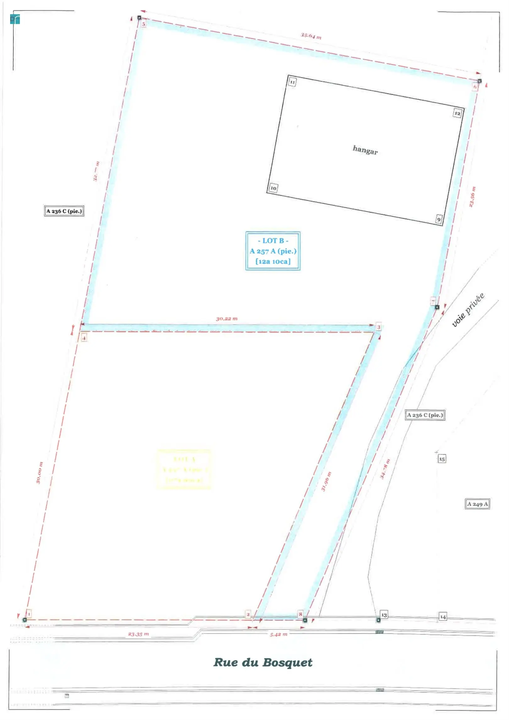
WANGENIES - Rue du Bosquet. Nous vous présentons ce terrain à bâtir (LOT A au plan annexé) situé dans une rue calme, le terrain est devant le numéro 23. En zone d\'habitat, il présente une largeur en façade de +/- 23.35m et une superficie de 07 ares 90 ca. Orientation : Nord-Ouest. Faire offre à partir de : 89.000 € (sous réserve de l\'acceptation du propriétaire).
Caractéristiques:
Plan de division : LOT A - A257 A (pie.)
Terrain situé en zone d\'habitat au plan de secteur
Orientation : Nord-Ouest
Dans une rue calme, avec constructions récentes en face
Superficie de 07 ares 90 ca
Largeur façade avant 23.35m en façade
- Grenier Non
- Avec bureau Non
- Ascenseur Non

